Tropical Cyclone Video Downloads Made Easy

C.Sansay 52 views
Tropical Cyclone Video Downloads Made Easy

Tropical Cyclone Video Downloads Made Easy

Hey guys! Ever found yourself staring at the screen, utterly fascinated by the raw power and beauty of a tropical cyclone, and wished you could just download a video of it? You’re not alone! Tropical cyclones, those swirling giants of the atmosphere, are some of nature’s most dramatic spectacles. From the terrifying eye to the immense rainbands, they capture our imagination. But where do you find high-quality, reliable videos of these events for download? That’s what we’re diving into today. We’ll explore the best places to find these awesome clips, understand the types of cyclones you might encounter in videos, and even touch upon why you might want to download them in the first place. So, grab your virtual storm gear, and let’s get started on this electrifying journey into the world of tropical cyclone video downloads.

Understanding Tropical Cyclones: More Than Just a Storm

Before we jump into the download sites, it’s super important to get a handle on what exactly we’re talking about when we say ‘tropical cyclone.’ These aren’t just any old storms, folks. Tropical cyclones are massive, rotating storm systems characterized by a low-pressure center, strong winds, and a spiral arrangement of thunderstorms that produce heavy rain. They form over warm tropical or subtropical waters. The key ingredients? Warm ocean water (at least 80°F or 26.5°C) extending to a depth of about 50 meters, moist tropical air, and winds that are relatively uniform with height. When these conditions align, a tropical disturbance can organize, intensify, and eventually become a tropical cyclone.

Now, these cyclones have different names depending on where they brew. In the Atlantic and Northeast Pacific, we call them hurricanes . In the Northwest Pacific, they’re known as typhoons . And in the South Pacific and Indian Ocean, they’re simply called tropical cyclones or, more intensely, severe tropical cyclones . So, when you’re searching for videos, you might be looking for footage of a Category 5 hurricane making landfall in Florida, a devastating typhoon hitting the Philippines, or a cyclone churning in the Indian Ocean. Each region has its unique weather patterns and associated cyclone behavior, making the videos from different areas equally captivating and educational. Understanding these distinctions helps narrow down your search and find exactly the kind of footage you’re after. Whether you’re a weather enthusiast, a student doing research, or just someone who appreciates the immense power of nature, knowing the lingo is your first step to finding awesome tropical cyclone video downloads .

Why Download Tropical Cyclone Videos?

So, why would you even want to download a video of a tropical cyclone, right? There are tons of reasons, guys! For starters, educational purposes are a huge one. Teachers and students can use these videos to illustrate complex meteorological concepts, show the devastating impact of climate change, or simply to engage younger learners with the wonders of Earth science. Imagine showing a time-lapse of a cyclone forming or a real-time feed of its destructive path – it’s way more impactful than just reading about it!

Then there’s the research and documentation aspect. Scientists and meteorologists often need access to historical cyclone data, including video footage, to study past events, refine forecasting models, and understand long-term trends. Downloading these videos allows for in-depth analysis without relying on potentially unstable live streams or limited online viewing options. For documentary filmmakers and journalists, these videos are invaluable B-roll or primary footage for creating compelling stories about weather phenomena and their human impact.

For the weather hobbyists and storm chasers out there, downloading cyclone videos is like collecting rare artifacts. It’s a way to build a personal library of incredible weather events, revisit memorable storms, and share the passion with fellow enthusiasts. You can analyze storm structures, compare different cyclone types, and appreciate the artistry of nature’s fury from the safety of your screen. Plus, let’s be honest, sometimes you just want to impress your friends with some epic footage of Mother Nature showing off. Visual storytelling is powerful, and cyclone videos offer a unique narrative of nature’s immense power, resilience, and the challenges faced by communities in their path. Whether it’s for academic rigor, personal fascination, or creative projects, the reasons for seeking out tropical cyclone video downloads are as diverse as the storms themselves.

Top Sources for Tropical Cyclone Video Downloads

Alright, let’s get down to business: where can you actually snag these amazing tropical cyclone video downloads ? Finding reliable sources that offer high-quality footage can sometimes feel like navigating a stormy sea, but fear not! We’ve scouted the best spots for you. These platforms range from official government agencies that archive incredible data to dedicated weather communities and even stock footage sites. Each offers a slightly different flavor of cyclone content, so you’re bound to find something that fits your needs.

Government Meteorological Agencies: The Official Archives

When it comes to official and often highly detailed footage, you absolutely have to check out the websites of national meteorological agencies. Think of them as the ultimate guardians of weather data. For instance, the National Oceanic and Atmospheric Administration (NOAA) in the United States is an absolute goldmine. Their National Hurricane Center (NHC) archives an incredible amount of data, including satellite imagery, radar loops, and sometimes even video reports of hurricanes and tropical storms that have affected the US and surrounding areas. While direct video downloads might sometimes be behind specific data portals or require a bit of digging, the raw data is often available, and many news outlets and researchers will source their footage directly from NOAA feeds. You can find stunning visualizations, official advisories, and even historical storm summaries that often include video clips.

Similarly, meteorological agencies in other cyclone-prone regions are fantastic resources. The Japan Meteorological Agency (JMA) provides extensive data on typhoons in the Northwest Pacific, often with detailed analyses and visualizations. In Australia, the Bureau of Meteorology (BoM) offers similar resources for cyclones affecting their region. These agencies often provide raw data that can be processed into video, or they may have specific sections dedicated to educational materials and media resources where downloadable videos are more accessible. The key here is patience and knowing where to look within their vast archives. Often, searching their ‘news,’ ‘media,’ or ‘data archives’ sections will yield the best results for tropical cyclone video downloads that are accurate, official, and scientifically sound.

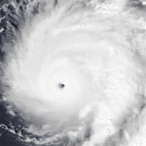
NASA and Satellite Imagery: Seeing the Bigger Picture

Another incredibly powerful source for tropical cyclone video downloads comes from space, courtesy of NASA . NASA’s satellites provide breathtaking, high-resolution imagery of Earth, and tropical cyclones are a frequent subject. Their resources, like the NASA Goddard Space Flight Center or the NASA Earth Observatory , often feature stunning videos and animations of cyclones from space. These aren’t your typical ground-level storm chaser videos; these are grand, sweeping views that show the sheer scale and structure of these massive weather systems. You can see cyclones spinning majestically over the ocean, track their development from a mere disturbance to a full-blown hurricane, and witness their interaction with landmasses.

NASA often releases these visuals as part of their Earth science outreach programs, making them relatively accessible for download. They frequently publish articles and blog posts that include embeddable or downloadable video files, often accompanied by detailed scientific explanations. These videos are fantastic for understanding the dynamics of a cyclone from a global perspective. They showcase the power of cloud formations, the movement of air masses, and the colossal energy involved. For anyone looking for awe-inspiring, scientifically accurate visuals of tropical cyclones, NASA’s archives are an unparalleled resource for tropical cyclone video downloads . It’s a chance to see our planet’s weather in action from a perspective few ever get to experience, truly highlighting the immense power these storms command.

YouTube and Video Sharing Platforms: The User-Generated Goldmine

When you think about downloading videos, YouTube is probably one of the first platforms that comes to mind, and for good reason! It’s an absolute treasure trove for tropical cyclone video downloads . While you need to be a bit discerning about the quality and source, the sheer volume of content is staggering. You’ll find everything from amateur storm chaser footage, providing a raw and intense, up-close-and-personal view of cyclones making landfall, to professionally produced documentaries and news reports from around the world. Many channels are dedicated solely to weather phenomena, and they often upload compilations or individual clips of significant storms. You can find historical footage of infamous hurricanes like Katrina or Andrew, or watch live streams that were recorded and later uploaded.

Beyond YouTube, other video-sharing platforms might also host relevant content, though often with less stringent content moderation. The key here is to use specific search terms like ‘hurricane video download,’ ‘typhoon footage,’ or the name of a specific storm combined with ‘video.’ Look for channels that are reputable, perhaps affiliated with meteorological organizations or well-known storm chaser groups. Many creators will explicitly state if their videos are available for download or if they can be used under certain Creative Commons licenses. Always check the video description and the uploader’s channel for any usage rights or download restrictions. While you might need to use third-party download tools (use these with caution and ensure they are reputable!), YouTube remains one of the most accessible and diverse places to find a vast array of tropical cyclone video downloads .

Stock Footage Sites: Professional Quality for Projects

If you’re working on a professional project – be it a documentary, a presentation, or even a commercial – and need high-quality, licensed tropical cyclone video downloads , then stock footage sites are your go-to. Platforms like Shutterstock, Adobe Stock, Getty Images, and Pond5 host vast libraries of professional video content. While these are typically paid services, the quality is usually top-notch, and you get clear licensing terms, which is crucial for avoiding copyright issues.

These sites have meticulously categorized footage, so you can easily search for ‘tropical cyclone,’ ‘hurricane,’ ‘typhoon,’ or specific storm names. You’ll find everything from dramatic aerial shots of swirling cloud tops to intense ground-level footage of wind and rain. Many of these clips are filmed by professional videographers, including storm chasers who specialize in capturing extreme weather events. The benefit here is not just the quality but also the variety and the assurance that you’re using legitimate, legally obtained content. For researchers who need specific, high-resolution shots for scientific presentations or for media professionals creating polished content, investing in stock footage is often the most efficient and professional route. Look for keywords like ‘storm,’ ‘weather,’ ‘hurricane,’ ‘cyclone,’ ‘typhoon,’ and ‘satellite imagery’ to discover a wide range of options for your tropical cyclone video downloads .

Tips for Downloading and Using Cyclone Videos

So, you’ve found some amazing tropical cyclone video downloads , but before you hit that download button, let’s go over a few crucial tips to make the process smooth, legal, and ethical. Downloading and using these powerful visuals comes with responsibilities, guys, and being informed can save you a lot of headaches and ensure you’re respecting the creators and the data.

Check Usage Rights and Licensing

This is super important , especially if you plan to use the video for anything beyond personal viewing. Many videos, especially those from official agencies like NOAA or NASA, are in the public domain or available under permissive licenses. This means you can often use them freely, even for commercial purposes, as long as you credit the source (e.g., ‘Image courtesy of NOAA’). However, content on platforms like YouTube or stock footage sites comes with varying licenses. Always, always, always check the video description or the site’s licensing page. Understand if it’s Creative Commons (and which type – some restrict commercial use or require attribution), if it’s royalty-free (meaning you pay once and can use it), or if it’s strictly copyrighted with no unauthorized use permitted. Misusing copyrighted material can lead to serious legal trouble, so read the fine print before you download and share!

Use Reputable Download Tools (With Caution)

For platforms like YouTube, direct download buttons aren’t always available. You might be tempted to use third-party online downloaders or software. While these tools can be handy, they also come with risks. Be extremely cautious . Many such tools are riddled with intrusive ads, malware, or spyware. Stick to well-known, reputable download managers or browser extensions if you must use them. Do your research, read reviews, and ensure your antivirus software is up-to-date. Sometimes, the safest bet is to simply stream the content or look for official download links provided by the content creator or platform. Prioritize safety and security over convenience when using these external tools for your tropical cyclone video downloads .

Quality and File Size Considerations

Tropical cyclone videos can range from low-resolution phone recordings to high-definition satellite animations. When downloading, consider what you need the video for. Higher resolution and longer durations mean larger file sizes. If you’re just using a short clip for a school presentation, a medium-quality download might suffice and save you download time and storage space. If you need it for a professional documentary or broadcast, you’ll want the highest quality available, which might require a stable, high-speed internet connection and sufficient storage. Many sources offer different quality options (e.g., 480p, 720p, 1080p, 4K). Choose wisely based on your intended use and your available bandwidth and storage. Always aim for the best quality you can manage if you want the most impactful visuals for your tropical cyclone video downloads .

Ethical Considerations and Attribution

Finally, let’s talk about ethics. Even when videos are free to use, it’s good practice to give credit where credit is due. Attribution is not just a legal requirement in many cases; it’s a sign of respect for the photographers, videographers, scientists, and organizations that captured and processed the footage. If you’re using footage from NOAA, NASA, or a specific storm chaser’s channel, acknowledge them in your project, presentation, or social media post. This helps others find the original source and supports the continued creation of valuable content. Remember, these videos often represent the culmination of dangerous work, extensive research, or significant technological effort. Being mindful of this and providing proper attribution enhances the value and integrity of your work and ensures the tropical cyclone video download you’re using is shared responsibly.

The Future of Cyclone Visualization and Downloads

As technology hurtles forward, the way we capture, analyze, and access visuals of tropical cyclones is constantly evolving. The future promises even more breathtaking and accessible tropical cyclone video downloads . We’re seeing advancements in drone technology, allowing for incredibly detailed, low-altitude perspectives of storm surges and wind impacts that were previously impossible to obtain safely. High-resolution satellite imagery is becoming more frequent and accessible, providing clearer, more comprehensive views of storm development and structure from space. Imagine real-time, 4K satellite loops of a hurricane forming, available for download moments after they are captured!

Furthermore, the integration of Artificial Intelligence (AI) and machine learning is set to revolutionize cyclone visualization. AI can help process vast amounts of raw data – from satellite and radar feeds to ground sensor information – to create sophisticated, dynamic visualizations and predictive models. This could lead to videos that not only show past events but also simulate future storm behavior with stunning accuracy. We might see interactive 3D models of cyclones generated from data, offering a level of detail and understanding far beyond current capabilities. For tropical cyclone video downloads , this could mean accessing not just raw footage but also AI-generated, data-driven visual narratives of storms.

Accessibility is also a key trend. As data becomes more open and platforms become more user-friendly, more people will be able to access and utilize these powerful visuals. Expect to see more centralized hubs for weather data and visuals, making it easier than ever to find and download exactly what you need. The focus will likely shift from just raw footage to more curated, story-driven visual content that explains the science and human impact of these events. Ultimately, the future of tropical cyclone video downloads points towards greater clarity, deeper understanding, and wider accessibility, allowing everyone to better appreciate and prepare for these awe-inspiring natural phenomena. So keep an eye out – the storm visuals of tomorrow will be more incredible than anything we’ve seen before!