Live Hurricane Tracking: Satellite Views & Real-Time Updates

C.Sansay 44 views
Live Hurricane Tracking: Satellite Views & Real-Time Updates

Live Hurricane Tracking: Satellite Views & Real-Time Updates

Hey everyone! Are you ready to dive into the world of hurricanes and how we track them in real-time? Hurricane satellite tracking live is super important these days. We’re going to explore how meteorologists use satellites to monitor these massive storms. We’ll also check out some cool tools you can use to stay informed during hurricane season. So, buckle up! It’s going to be a wild ride – pun absolutely intended!

The Power of Satellites: Seeing Hurricanes From Space

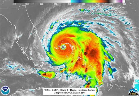
Alright guys, let’s talk about the unsung heroes of hurricane tracking: satellites. These incredible machines orbiting Earth are our eyes in the sky, constantly scanning the atmosphere for signs of trouble. The data they collect is absolutely crucial for understanding and predicting hurricane behavior. Think about it – without satellites, we’d be flying blind! We wouldn’t know where a hurricane is, where it’s headed, or how intense it is. That’s a scary thought.

Satellites use different types of sensors to gather information. Some measure cloud-top temperatures, which help determine the strength of a storm. Warmer cloud tops indicate a weaker storm, while colder tops mean a more intense one. Others use radar to peer through the clouds and see the structure of the hurricane. They can even measure wind speeds and rainfall rates! All this data is beamed back to Earth, where meteorologists analyze it using complex computer models. These models then produce forecasts that we all rely on.

There are two main types of satellites used for hurricane tracking: geostationary and polar-orbiting. Geostationary satellites stay in a fixed position relative to the Earth, providing continuous coverage of a specific area. This is how we get those awesome time-lapse videos of hurricanes swirling and moving across the ocean. Polar-orbiting satellites, on the other hand, orbit the Earth from pole to pole, providing detailed information about the entire planet. They’re like the globetrotters of the satellite world, collecting data from everywhere!

Satellites have revolutionized hurricane tracking. Before their widespread use, we had to rely on ships, planes, and land-based weather stations, which offered a much more limited view of the storm. Satellites allow us to monitor hurricanes in remote areas, such as the middle of the ocean, where traditional methods are impossible. They provide us with a much more comprehensive understanding of hurricane behavior, leading to more accurate forecasts and better warnings. This means we have more time to prepare and protect ourselves when a hurricane threatens. Isn’t that something?

So, the next time you see a hurricane on TV, remember the amazing satellites that are working tirelessly to keep us informed. They truly are a technological marvel, and a crucial part of our ability to prepare for these powerful storms. It is important to understand the significant role satellites play in providing early warnings and real-time updates for hurricanes, greatly enhancing public safety .

Decoding the Data: How Meteorologists Track Hurricanes

Okay, so the satellites are sending us all this data. But what happens next? How do meteorologists turn raw information into a coherent picture of the hurricane? It’s a complex process, but here’s a simplified version.

First, the data is fed into computer models. These models are incredibly sophisticated programs that simulate the behavior of the atmosphere. They use the satellite data, along with other information like historical weather patterns, to predict where the hurricane will go, how strong it will be, and how much rain it will produce. These models are constantly being refined and improved, thanks to advances in technology and our understanding of hurricanes. They’re getting better all the time!

Meteorologists then analyze the model output. They look at the different scenarios the models produce and use their experience and expertise to create a forecast. This forecast includes information about the hurricane’s track, intensity, wind speeds, and potential impacts, like storm surge and rainfall.

The forecast is then communicated to the public through various channels, such as TV, radio, and the internet. The National Hurricane Center (NHC) is the primary source of hurricane information in the United States, issuing regular advisories and updates during hurricane season. They’re the guys who keep us in the know! These advisories include everything you need to know about the storm: its current location, predicted path, potential hazards, and recommended actions.

But the work doesn’t stop there. Meteorologists continue to monitor the hurricane, analyze new data, and update the forecast as needed. Hurricanes can be unpredictable, and their behavior can change rapidly. Staying informed and being prepared is vital. Remember, the forecast is just a prediction, and it can change. Therefore, continuous monitoring and real-time updates are essential to provide the most accurate and up-to-date information, thereby ensuring that communities are well-prepared and can take appropriate actions .

Tools and Resources for Live Hurricane Tracking

Alright, let’s get down to the nitty-gritty: How can you, the average person, track hurricanes live? Lucky for us, there are tons of resources available, many of them free! Here are some of the best tools and websites for staying informed:

  • The National Hurricane Center (NHC): This is your go-to source for official hurricane information. The NHC website provides up-to-date advisories, forecasts, and maps. You can also find information about hurricane preparedness and safety.
  • National Weather Service (NWS): The NWS website offers local weather forecasts and warnings. During a hurricane, they’ll provide detailed information about potential impacts in your area.
  • Weather Websites and Apps: Several weather websites and apps provide real-time hurricane tracking data. Some popular options include Weather.com, AccuWeather, and Windy. These sites usually offer interactive maps, satellite imagery, and other useful features.
  • Satellite Imagery: Many websites and apps provide access to satellite imagery of hurricanes. This allows you to see the storm’s structure and track its movement in real-time. Look for images from NOAA and other government agencies.
  • Social Media: Follow the NHC and local news outlets on social media for the latest updates. They often provide breaking news, alerts, and safety information.

When using these resources, keep in mind that information can change rapidly. Always rely on official sources, such as the NHC and the NWS, for the most accurate and up-to-date information. Also, be sure to have a plan in place. Know your evacuation routes, gather emergency supplies, and stay informed. Staying prepared is key. Make sure to have a plan and be ready to act on any warnings issued by authorities. These resources offer interactive maps, real-time data, and expert analysis, empowering individuals to stay informed and make informed decisions during a hurricane .

Understanding the Data: Maps, Models, and More

So, you’ve got your resources, you’re tracking the storm…but what are you actually looking at? Let’s break down some of the key elements you’ll encounter when following a hurricane:

  • Hurricane Track: This is the predicted path of the storm. The NHC provides a forecast track, which shows the most likely path the hurricane will take. This track is based on computer models and the expertise of meteorologists. Always pay attention to the cone of uncertainty, which represents the possible range of the storm’s path. The cone gets wider over time, reflecting the increasing uncertainty of the forecast.
  • Intensity: This refers to the strength of the hurricane, measured by its wind speeds. The Saffir-Simpson Hurricane Wind Scale is used to classify hurricanes based on their sustained wind speeds. Categories range from 1 (weakest) to 5 (strongest). The intensity of a hurricane can change rapidly, so it’s important to monitor it closely.
  • Wind Speeds: This is the most critical factor to consider, as high winds can cause significant damage. The forecast will show the expected wind speeds in different areas. Pay attention to the areas within the hurricane warning and watch zones.
  • Storm Surge: This is the rise in sea level caused by the hurricane’s winds. It’s often the deadliest hazard associated with hurricanes. The forecast will include information about the expected storm surge and the areas at risk.
  • Rainfall: Hurricanes can bring torrential rainfall, leading to flooding. The forecast will indicate the expected rainfall amounts and the areas at risk of flooding.
  • Watches and Warnings: Hurricane watches are issued when hurricane conditions are possible within a specified area. Hurricane warnings are issued when hurricane conditions are expected within a specified area. Pay close attention to these alerts, and take appropriate action if a watch or warning is issued for your area. Being aware of the different data points, such as track, intensity, wind speeds, storm surge, and rainfall, is essential for comprehending the severity of a hurricane and its potential impacts. Knowing how to interpret hurricane watches, warnings, and the cone of uncertainty allows individuals to make informed decisions and take necessary precautions to protect themselves and their property .

Staying Safe: Preparedness and Response

Okay, so you’re tracking the storm, you understand the data, and now what? The most important thing is to stay safe and prepared. Here are some tips:

  • Make a Plan: Develop a hurricane preparedness plan. Know your evacuation routes, and have a safe place to go if you need to evacuate. Make sure your family knows the plan. Consider the special needs of any family members. Ensure you have adequate supplies, including food, water, medications, and a first-aid kit.
  • Build an Emergency Kit: Gather essential supplies, such as non-perishable food, water, flashlights, batteries, a first-aid kit, and medications. Include enough supplies to last for several days. Make sure you have a way to charge your phone and other devices.
  • Protect Your Home: Secure your home by boarding up windows, trimming trees, and clearing gutters. Bring in any outdoor furniture or other items that could be blown away by the wind.
  • Stay Informed: Monitor the latest forecasts and warnings from the NHC and local authorities. Be prepared to evacuate if necessary. Heed the advice of local officials. Follow instructions from local authorities, such as evacuation orders. Remain informed by tuning into local news channels, checking the National Hurricane Center website, and monitoring weather updates to stay updated on the storm’s track, intensity, and any potential threats to your area. Proactive planning, emergency kit preparation, and adherence to evacuation orders are vital for ensuring safety during a hurricane .
  • Evacuate if Necessary: If you are ordered to evacuate, do so promptly. Don’t wait until the last minute. Take your emergency kit with you. Evacuate to a safe location, such as a shelter or a relative’s home outside of the affected area.
  • Stay Safe During the Storm: If you are not evacuating, stay indoors during the storm. Stay away from windows and doors. Go to an interior room, such as a closet or bathroom. If your home is damaged, seek shelter in a sturdy building. During the storm, stay indoors, away from windows and doors, and seek shelter in an interior room or a designated safe space within your home.

Conclusion: Navigating Hurricane Season Safely

Alright, folks, that’s the lowdown on hurricane satellite tracking live ! I hope this guide helps you stay informed and safe during hurricane season. Remember to always rely on official sources, make a plan, prepare your supplies, and stay informed. Hurricanes are serious business, but with the right information and preparation, we can all weather the storm. Stay safe out there, and don’t hesitate to reach out if you have any questions. We’re all in this together! So, stay informed, stay prepared, and stay safe. Let’s make sure we’re all ready when the next big storm comes our way. The ultimate goal is to promote safety through preparedness, real-time monitoring, and adherence to the guidance of weather experts and emergency services.

Remember, staying informed and prepared can make all the difference during a hurricane. Good luck, and stay safe!