Imilton Hurricane Tracker: Live Map & Updates
Imilton Hurricane Tracker: Your Real-Time Guide
Hey there, weather watchers! Are you ready to dive deep into the world of hurricanes and stay ahead of the storm? Well, buckle up, because we’re about to explore the Imilton Hurricane Live Map Tracker , a powerful tool designed to keep you informed and safe during hurricane season. This article is your comprehensive guide to understanding how to use the tracker, interpret its data, and stay prepared for anything the weather throws your way. We’ll break down everything from the basics of hurricane tracking to the advanced features of the Imilton tracker, ensuring you have all the knowledge you need to navigate hurricane season with confidence.
Table of Contents
- What is the Imilton Hurricane Live Map Tracker?
- How to Use the Imilton Hurricane Tracker Effectively
- Understanding the Data: Decoding Hurricane Information
- Advanced Features and Tools on Imilton Trackers
- Preparing for Hurricane Season: Safety Tips
- Staying Connected and Informed
- Conclusion: Staying Safe with the Imilton Hurricane Tracker
What is the Imilton Hurricane Live Map Tracker?
So, what exactly is the Imilton Hurricane Live Map Tracker ? Simply put, it’s a real-time, interactive map that provides up-to-the-minute information on active hurricanes, tropical storms, and other significant weather events. Imagine having a digital window into the heart of the storm, allowing you to see its location, intensity, and predicted path all in one place. That’s the power of the Imilton tracker! It gathers data from various sources, including satellite imagery, weather models, and official reports from meteorological agencies, and presents it in a user-friendly format. The goal? To empower you with the information needed to make informed decisions and stay safe. It’s like having your own personal meteorologist at your fingertips, providing you with the most current information available, ensuring you’re never caught off guard.
This tracker is particularly crucial for those living in hurricane-prone areas, as it provides a constant stream of updates on developing storms. You can monitor the progress of a hurricane, understand its potential impact on your region, and prepare accordingly. But even if you don’t live in a hurricane zone, the Imilton tracker can be an excellent tool for staying informed about global weather patterns and understanding the forces that shape our climate. Whether you’re a seasoned weather enthusiast or just someone who wants to stay safe, the Imilton Hurricane Live Map Tracker is an invaluable resource. This map is not just about showing where a hurricane is; it’s about providing the context you need to understand its potential effects, allowing you to take proactive measures to protect yourself, your family, and your property. You’ll gain a deeper appreciation for the science behind these powerful storms and the importance of preparedness. So, stick around, and let’s get you set up to navigate hurricane season like a pro.
How to Use the Imilton Hurricane Tracker Effectively
Alright, let’s get down to the nitty-gritty: How do you actually use the Imilton Hurricane Live Map Tracker ? First off, the interface is designed to be intuitive and easy to navigate. You’ll typically find a map displaying the current locations of active storms, color-coded to indicate their intensity. For instance, a tropical depression might be represented in blue, while a Category 5 hurricane could be shown in a fiery red. Click on a storm icon, and you’ll get detailed information, including its wind speed, central pressure, and movement forecast. The tracker usually provides a predicted path, which is updated regularly based on the latest weather models. This path is often displayed as a cone of uncertainty, reflecting the range of possible outcomes. Keep in mind that the cone doesn’t represent the storm’s size ; instead, it indicates the area where the center of the storm is most likely to travel. Understanding this is key to interpreting the forecast accurately.
Beyond the basic information, most Imilton trackers offer advanced features. These might include satellite imagery, radar data, and even the ability to view historical storm tracks. Some trackers integrate with local weather alerts, providing warnings and advisories specific to your location. You can usually customize the map to display the information most relevant to you, such as the areas you’re most concerned about. Regularly checking the tracker during hurricane season is crucial. The National Hurricane Center (NHC) issues advisories every few hours, and the Imilton tracker will reflect these updates promptly. Pay close attention to any changes in the storm’s intensity, predicted path, and potential impacts. Staying informed means knowing when to take action, whether that’s reinforcing your home, evacuating, or simply stocking up on supplies. Remember, the tracker is a tool to help you, but it’s not a substitute for official warnings and advice from local authorities. Always heed the recommendations of emergency management officials, and have a plan in place for different scenarios. It’s all about being proactive and prepared to weather the storm.
Understanding the Data: Decoding Hurricane Information
Now, let’s talk about the language of hurricanes. Understanding the data on the Imilton Hurricane Live Map Tracker is vital for making informed decisions. Here’s a quick rundown of the key terms and metrics you’ll encounter:
- Wind Speed: Measured in miles per hour (mph) or kilometers per hour (km/h), this is a primary indicator of a hurricane’s intensity. The Saffir-Simpson Hurricane Wind Scale categorizes hurricanes based on their sustained wind speeds, ranging from Category 1 (74-95 mph) to Category 5 (157 mph or higher).
- Central Pressure: Measured in millibars (mb) or inches of mercury (inHg), this indicates the intensity of the storm. Lower pressure generally means a more intense hurricane. The central pressure is a key indicator of the storm’s strength; the lower the pressure, the more intense the storm is likely to be.
- Predicted Path: This shows where the center of the storm is expected to travel. The cone of uncertainty represents the probable track, based on various weather models. Remember, the storm’s effects can extend far beyond the predicted path.
- Watches and Warnings: A hurricane watch means that hurricane conditions are possible in your area within 48 hours. A hurricane warning means that hurricane conditions are expected within 36 hours. Pay close attention to these alerts and take the necessary precautions.
- Storm Surge: This is the abnormal rise of water generated by a storm, which can cause significant coastal flooding. The tracker will often provide information on expected storm surge levels.
- Rainfall: Hurricanes can bring torrential rainfall, leading to flooding. The tracker will often provide rainfall forecasts.
By understanding these key metrics, you can better interpret the information presented on the Imilton Hurricane Live Map Tracker . For example, a Category 3 hurricane with a rapidly deepening central pressure is a serious threat, while a weakening tropical storm may pose less of a risk. Always cross-reference the data with official warnings and recommendations from your local authorities. This ensures you’re getting the complete picture and making informed decisions. By decoding the data effectively, you can make informed decisions to protect yourself and your loved ones during hurricane season. Pay attention to the details, understand the terminology, and stay ahead of the storm.
Advanced Features and Tools on Imilton Trackers
Let’s level up our knowledge and dive into the advanced features of the Imilton Hurricane Live Map Tracker . These features go beyond the basics, offering deeper insights and enabling more informed decision-making. Here are some of the functionalities you’re likely to find:
- Interactive Maps: Most trackers offer interactive maps that you can zoom in and out of, allowing you to focus on specific areas of interest. You can often overlay different data layers, such as radar, satellite imagery, and forecast models, to get a comprehensive view of the situation.
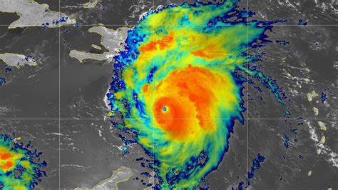
- Real-time Satellite Imagery: This provides a visual representation of the storm, allowing you to see its structure, size, and intensity. You can track the movement of the storm and identify any developing trends.
- Radar Data: Radar data provides information on precipitation, helping you to assess the potential for flooding and heavy rainfall. You can see the intensity and location of rainfall, which is critical for understanding the storm’s impact.
- Forecast Models: Trackers often integrate data from various forecast models, such as the European Centre for Medium-Range Weather Forecasts (ECMWF) and the Global Forecast System (GFS). These models provide predictions of the storm’s path, intensity, and potential impacts. Keep in mind that these models are not perfect, and the predicted path may change.
- Historical Data: Some trackers allow you to view historical storm tracks, giving you a better understanding of how hurricanes have behaved in the past. This can be useful for identifying areas that are particularly vulnerable to storm impacts.
- Customization Options: Many trackers allow you to customize the display, such as by adding or removing layers of information, setting up alerts for specific locations, or changing the units of measurement. Personalizing your experience is an excellent way to focus on the information that is most relevant to you.
- Alerts and Notifications: Stay informed with customizable alerts and notifications. Set up alerts for specific locations, wind speeds, or other criteria that matter to you. You can receive updates via email, text message, or push notifications, ensuring you never miss a critical update.
By exploring these advanced features, you can gain a deeper understanding of hurricanes and their potential impacts. Experiment with the different tools and customize your experience to fit your needs. By using these advanced tools effectively, you can take your hurricane preparedness to the next level. Remember, knowledge is power during hurricane season.
Preparing for Hurricane Season: Safety Tips
Alright, guys, now that we know how to use the Imilton Hurricane Live Map Tracker and understand the data, let’s talk about preparing for the actual storm. Staying safe during a hurricane requires a multi-faceted approach, combining information from the tracker with proactive safety measures. Here are some essential safety tips:
- Create a Hurricane Preparedness Kit: Your kit should include essential supplies, such as non-perishable food, water (at least one gallon per person per day), a first-aid kit, medications, a flashlight with extra batteries, a NOAA weather radio, and any necessary personal items. Having this kit ready before a storm hits is critical.
- Develop a Family Emergency Plan: Discuss your plan with your family. Determine where you will shelter in place, and if you need to evacuate, identify your evacuation route and destination. Make sure everyone in your family knows the plan. Include contact information for family members and friends, and establish a meeting point outside of your home in case you are separated.
- Secure Your Home: Protect your home from potential damage. Board up windows or install hurricane shutters, trim trees and shrubs, and secure any loose outdoor items, such as furniture and garbage cans. Consider reinforcing your roof and doors.
- Understand Evacuation Orders: If local authorities issue an evacuation order, heed it immediately. Evacuate to a safe location outside of the hurricane’s impact zone. Know your evacuation route and plan ahead.
- Monitor Weather Updates: Use the Imilton Hurricane Live Map Tracker and other reliable sources, such as the National Hurricane Center and your local news, to stay informed about the storm’s progress and potential impacts. Be aware of any watches or warnings issued for your area.
- Protect Your Valuables: Move important documents, such as insurance policies and medical records, to a safe and dry location. Consider storing valuables in waterproof containers. Take photographs or videos of your belongings for insurance purposes.
- Stay Informed During the Storm: Once the storm has arrived, stay indoors and away from windows and doors. Monitor weather updates and be prepared for potential power outages. If you must go outside, be careful of fallen trees, downed power lines, and debris.
- Prepare for Power Outages: Power outages are common during hurricanes. Have a plan for how you will cope with a loss of electricity. This includes having a generator (and knowing how to use it safely), alternative lighting, and ways to stay cool or warm depending on the season.
- Know Your Insurance Coverage: Review your insurance policies to understand your coverage for hurricane damage. Know what is and is not covered, and have the contact information for your insurance company handy.
By following these safety tips, you can significantly increase your chances of staying safe and minimizing the impact of a hurricane. Remember, preparedness is the key. Make a plan, gather your supplies, stay informed, and be ready to take action when the time comes. Your safety is always the top priority.
Staying Connected and Informed
During a hurricane, staying connected and informed is more critical than ever. The Imilton Hurricane Live Map Tracker is a fantastic tool, but it’s just one piece of the puzzle. Here are some tips on how to stay connected and informed during a hurricane:
- Official Sources: The National Hurricane Center (NHC) is the primary source of official hurricane information. Check their website regularly for updates, advisories, and forecasts. Local emergency management agencies are another essential source of information. Tune into your local news and radio stations for the latest updates and instructions.
- NOAA Weather Radio: A NOAA Weather Radio is an excellent way to receive real-time weather alerts and warnings. These radios can provide critical information even if the power goes out.
- Social Media: Social media can be a valuable tool for staying informed. Follow official accounts from the NHC, local emergency management agencies, and your local news outlets. Be cautious about the information you find on social media; always verify the source.
- Mobile Apps: There are many mobile apps that provide hurricane tracking information and alerts. Look for reputable apps from trusted sources, such as the NHC or local weather agencies. Make sure these apps provide up-to-date information and integrate with your local alerts system.
- Communication with Family and Friends: Establish a communication plan with your family and friends. Designate a point of contact outside of the affected area, and let everyone know how you will communicate during the storm. Keep your phone charged and consider using text messages, which often work better than phone calls during a power outage.
- Backup Power: Have a backup power source for your phone, such as a portable charger or a power bank. If you have a generator, make sure it is properly installed and that you know how to operate it safely.
By utilizing these resources, you can ensure that you stay connected and informed during a hurricane. Knowing where to get reliable information and how to communicate effectively can make a significant difference in your safety and peace of mind.
Conclusion: Staying Safe with the Imilton Hurricane Tracker
Alright, folks, we’ve covered a lot of ground today! We’ve explored the Imilton Hurricane Live Map Tracker , learned how to interpret its data, and discussed the importance of preparedness. Remember, the tracker is a valuable resource, but it’s only one part of staying safe during hurricane season. Combining the information from the tracker with a well-prepared plan and a proactive approach is the best way to weather the storm. Make sure you use the tracker, stay informed from official sources, and have a plan in place. Stay safe, and let’s get through this hurricane season together! Keep in mind that a little preparation can go a long way in ensuring your safety and peace of mind during a hurricane. Remember to always prioritize your safety and heed the advice of local authorities. Stay informed, stay prepared, and stay safe. We’re all in this together, so let’s look out for each other and weather the storm responsibly. Remember, a well-informed and prepared community is a resilient community. Stay safe out there!”