Hurricane Tracking: Satellites At The Center

C.Sansay 139 views
Hurricane Tracking: Satellites At The Center

Hurricane Tracking: Satellites at the Center

Hey everyone! Ever wondered how we keep tabs on those crazy hurricanes, and know where they’re headed? Well, a huge part of the answer lies with pseinoaase – and the amazing work of the hurricane center satellite ! These aren’t just any satellites; they’re our eyes in the sky, constantly watching, gathering data, and helping us predict these powerful storms. In this article, we’ll dive deep into the world of hurricane tracking, focusing on how these specialized satellites are the key to saving lives and protecting communities. Get ready for some cool insights into the science behind the scenes!

The Crucial Role of Satellites in Hurricane Monitoring

Okay guys, let’s talk about why these satellites are so darn important. Imagine trying to follow a hurricane across the ocean without any real-time information. It’s like trying to find your way in a pitch-black room! Before satellites, we were pretty much in the dark, relying on ships and aircraft to gather data. This gave us a very limited view, and as a result, forecasting was far less accurate. Enter satellites, and everything changed! They provide a constant, comprehensive view of the Earth, including remote areas where hurricanes form and intensify. They are absolutely critical to the accuracy of hurricane tracking, intensity forecasting, and the issuance of timely warnings. That’s why the hurricane center satellite is a game-changer!

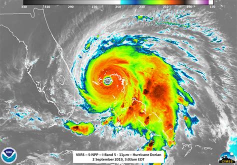
Satellites use different types of sensors to gather various data, like cloud formations, wind speeds, sea surface temperatures, and rainfall rates. All of this info is fed into sophisticated computer models that forecast a storm’s path and intensity. The continuous stream of information from these satellites is essential for meteorologists at the National Hurricane Center (NHC) and other forecasting agencies worldwide. Without this constant stream of data, our ability to forecast would be severely hampered, which would put many lives at risk.

Now, let’s look at the specific types of data collected by these satellites. They track the eye of the hurricane , the swirling cloud bands, and the overall size of the storm. They measure the sea surface temperature which is a major factor in hurricane intensification. Warm waters are like rocket fuel for hurricanes, and satellites can monitor these crucial temperatures. They also track the winds within the hurricane, which is super important for understanding its strength and movement. Satellites can measure the amount of rainfall, which is essential to assess the potential for flooding. This data is critical for giving warnings to the people in the path of the storm. Using these satellites means meteorologists and the hurricane center can keep us informed and prepared for the chaos. So next time you see a hurricane warning, remember the satellite that is watching to help. It’s the reason we know what’s coming and can prepare.

How Satellites Enhance Hurricane Forecast Accuracy

Alright, so how do these satellites actually make forecasting better? Well, think about it like this: the more information you have, the better your predictions are likely to be. Satellites provide a wealth of data that traditional methods can’t match. This data is the backbone of all the weather models we use to make hurricane forecasts, and is essential to making sure the data is accurate. This allows meteorologists to make more accurate predictions about the storm’s path, intensity, and timing of landfall. Here’s a breakdown:

  • Improved Path Prediction: Satellites help us track the storm’s movement, and provide us with a better understanding of how the wind is going to affect it.
  • Intensity Forecasting: Measuring the sea surface temperature, wind speeds, and cloud formations help to understand the strength of the hurricane. The more we know, the better we can predict the intensity of the storm.
  • Timely Warnings: The detailed information provided by the hurricane center satellite allows for accurate warnings that can be issued well in advance, giving communities the time they need to prepare and evacuate.

Satellite data is also used to improve and refine the computer models that generate hurricane forecasts. The accuracy of these models has increased greatly over the years, thanks to the continuous stream of data provided by satellites. As these models get better, so will our ability to make accurate predictions.

Types of Satellites Used for Hurricane Tracking

So, what kinds of satellites are we talking about? There are several types that are crucial for monitoring hurricanes. Each type of satellite uses different sensors to collect specific data. Let’s break it down:

  • Geostationary Satellites: These satellites orbit the Earth at the same rate the Earth rotates, so they appear to stay in a fixed position above a certain spot on the globe. This allows them to provide continuous monitoring of a specific area, such as the Atlantic Basin, where many hurricanes form. The GOES (Geostationary Operational Environmental Satellite) series is a prime example.
  • Polar-orbiting Satellites: These satellites orbit the Earth from pole to pole, which allows them to scan the entire globe, providing more detailed images and measurements. They pass over the poles and provide a lot of information. These satellites can provide high-resolution images and measure temperatures and other data.
  • Specialized Satellites: Some satellites are specifically designed for hurricane research. For example, the Global Precipitation Measurement (GPM) mission, a joint project between NASA and the Japan Aerospace Exploration Agency (JAXA), provides data on rainfall rates within hurricanes. These satellites will offer more data and understanding of how these storms work.

Each type of satellite has its own strengths, and they work together to give meteorologists the most complete picture possible. So, the next time you see a hurricane warning, remember the hurricane center satellite are our eyes and the reason we have a clearer view of these storms.

Data Analysis and Prediction: The Role of the Hurricane Center

Let’s move on to the heart of the matter: how all this data is processed and used by the hurricane center to make predictions. The process is complex, but understanding it is key to appreciate the accuracy of hurricane forecasting. It all begins with the satellites constantly sending back data. This includes images, temperature readings, wind speeds, and precipitation rates. This data goes to different places where scientists and meteorologists analyze the information.

Once the data arrives, it is fed into sophisticated computer models. These models are essentially mathematical representations of the atmosphere and oceans. They use the data to forecast the path, intensity, and timing of a hurricane. The models are constantly updated and improved based on new data and research.

Meteorologists then interpret the model output, and add their own expertise, based on their experience and knowledge of the storm. The final product is a forecast that includes the expected path of the storm, its intensity, and the likelihood of landfall. Forecasts are updated frequently, and are usually available every six hours. The NHC issues these forecasts and warnings to the public. They also provide information to emergency managers, the media, and the public. These warnings are the most important part of the process, and help to keep people safe.

The Importance of Early Warnings and Accurate Forecasts

I think we can all agree: early warnings are super important! Accurate forecasts allow people to take the necessary precautions. These warnings enable communities to prepare, evacuate, and protect themselves and their property. Early warnings can save lives and lessen the impact of these storms.

Accurate forecasts, based on the hurricane center satellite data and the analysis by the hurricane center, are important for many reasons.

  • Saving Lives: Early warnings provide time for people to evacuate, take shelter, and avoid the most dangerous aspects of the storm.
  • Protecting Property: Accurate forecasts allow people to secure their homes and businesses. It gives them the chance to move their belongings and protect them.
  • Informing Emergency Response: Accurate forecasts help emergency responders to prepare for the storm. It lets them prepare for rescue operations, and deploy resources to affected areas.
  • Reducing Economic Impact: Early warnings allow businesses and industries to prepare for the storm. This limits damage, and helps to get things going again once the storm passes.

The work of the hurricane center is not just about forecasting storms; it’s about safeguarding lives and lessening the impact of these powerful storms on communities. Because of the use of satellite information, we can see these storms from above. These tools and processes help keep us safe during hurricane season.

Technological Advancements and Future Prospects

The technology for monitoring and predicting hurricanes is constantly improving. New advancements are helping to make forecasts more accurate and timely. This ensures that the public gets the information they need to protect themselves. Let’s look at a few areas where technology is changing:

  • Improved Satellite Technology: The development of new satellites with better sensors, and improved resolution will help gather more data. These advancements will make forecasts more accurate.
  • Advanced Computer Models: Computer models are getting more sophisticated. They will use more data. Also, these models can simulate the atmosphere and oceans in greater detail.
  • Artificial Intelligence (AI): AI is playing an increasingly important role in forecasting. AI algorithms can analyze huge amounts of data. Also, it can help to identify patterns that human forecasters might miss.
  • Data Integration: Scientists are working to integrate all kinds of data. This includes data from satellites, radar, and weather stations. It’s used in forecast models. This provides a more comprehensive picture of the storm.

The future of hurricane forecasting is bright. As technology develops, we will have a better understanding of how these storms work. This will help make forecasts more accurate and give more warning. The information from the hurricane center satellite is crucial for this process, as well as the safety of everyone.

In conclusion, pseinoaase and hurricane center satellite are absolutely essential for hurricane tracking, forecasting, and warning. These satellites provide a comprehensive view of these storms. It helps to monitor the storms and give us the information to make accurate predictions. By understanding how these tools work, we can fully appreciate the important work of the meteorologists and scientists at the hurricane center and their dedication to public safety. So, next time you hear a hurricane warning, you’ll know that the information comes from a combination of the satellites and people working to keep us safe. Keep safe out there!