Hurricane Tracker Satellite Map: Your Live Guide

C.Sansay 15 views
Hurricane Tracker Satellite Map: Your Live Guide

Hurricane Tracker Satellite Map: Your Live Guide

Hey everyone! Ever felt that mix of awe and concern when a hurricane is brewing? We totally get it. That’s why today, we’re diving deep into the hurricane tracker satellite map . This isn’t just any map, guys; it’s your real-time window into the powerful forces of nature, helping you stay informed and prepared. We’ll break down what makes these maps so crucial, how to read them, and where to find the best ones. So, buckle up as we navigate the world of hurricane tracking!

Understanding the Power of a Hurricane Tracker Satellite Map

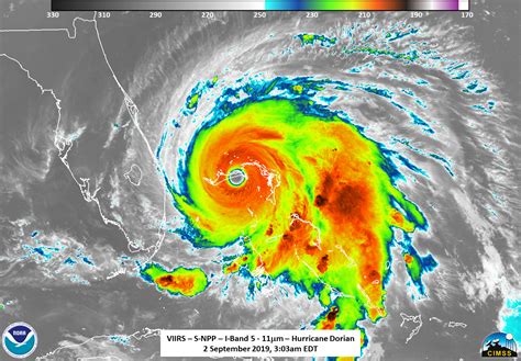
Alright, let’s talk about why a hurricane tracker satellite map is an absolute game-changer when it comes to understanding and preparing for tropical storms and hurricanes. Think about it – these massive, swirling systems can impact lives and communities in profound ways, and having accurate, up-to-the-minute information is absolutely critical . A satellite map provides us with an incredible bird’s-eye view, showing us exactly where the storm is, how strong it’s getting, and which direction it’s heading. It’s like having a superpower to see the invisible forces shaping our weather. Before satellite technology, tracking hurricanes was a much slower and less precise process, often relying on scattered ship reports and limited aerial reconnaissance. Now, with advanced satellite imagery, meteorologists and the public alike can monitor these systems 24 7 , gaining insights into their structure, intensity, and potential threats. The sheer visual data you get from a satellite map is astounding. You can see the distinct eye of the storm, the powerful eyewall where the strongest winds reside, and the vast spiral bands of rain and thunderstorms extending outwards. This visual representation makes complex meteorological data much more accessible and understandable for everyone. It’s not just about seeing the storm; it’s about understanding its dynamics. The different colors and overlays on these maps often represent various data points, such as cloud top temperatures, wind speeds, and pressure readings, all of which are vital clues to a hurricane’s behavior. For instance, colder cloud tops (often depicted in blues and purples) can indicate stronger updrafts and more intense thunderstorms within the storm’s circulation. The swirling patterns themselves tell a story – a tightly organized storm with a clear eye is generally more powerful than a loosely formed system. Furthermore, the ability to track the storm’s historical path and project its future trajectory is a cornerstone of hurricane preparedness. These maps allow us to see where the storm has been, giving us a sense of its momentum, and then overlay forecasts to anticipate where it might make landfall. This forward-looking aspect is what truly empowers individuals, families, and emergency managers to make informed decisions about evacuations, securing property, and getting essential supplies. It transforms abstract weather predictions into tangible, actionable information. In essence, a hurricane tracker satellite map is not just a tool for meteorologists; it’s a vital piece of public safety infrastructure that brings the power of space-based observation right to our fingertips, demystifying these complex weather events and helping us stay one step ahead.

How to Read Your Hurricane Tracker Satellite Map Like a Pro

So, you’ve pulled up a hurricane tracker satellite map , and it looks like a colorful, swirling mess, right? Don’t sweat it, guys! Reading these maps is totally doable once you know what to look for. Think of it like learning a new language, but this language is all about storms. The first thing you’ll notice is the storm itself. It usually appears as a large, organized mass of clouds, often with a distinct clear area in the center – that’s the eye . The eye is the calmest part of the hurricane, but don’t let that fool you; the most dangerous winds are found in the eyewall , the ring of thunderstorms surrounding the eye. Pay close attention to the organization. A well-defined, circular storm with a clear eye usually indicates a stronger, more mature hurricane. As the storm becomes more disorganized, it might be weakening. Next up, you’ll see concentric bands of clouds spiraling outwards from the center. These are the rainbands , and they can bring heavy rainfall, gusty winds, and even tornadoes far from the storm’s core. The density and organization of these bands give clues about the storm’s intensity and potential for widespread impacts. Now, let’s talk about the colors. Different satellite products use different color schemes, but generally, blues and purples often represent the coldest cloud tops, indicating the strongest thunderstorms and heaviest rain. Whites and grays might show less intense cloud cover. You might also see contour lines or shaded areas representing wind speed or atmospheric pressure. Lower pressure usually means a stronger storm. Wind speed is, of course, a direct measure of the storm’s power – higher sustained winds mean a more dangerous situation. Another crucial element is the storm’s track. You’ll see a symbol marking the current location of the storm’s center, often with arrows indicating the predicted path. This path is usually shown as a line, sometimes with a cone of uncertainty around it. That cone of uncertainty is super important! It represents the average error in the forecast track over the past several years. It doesn’t mean the storm will stay within that cone; it means the center of the storm is expected to be somewhere within that area. So, if your location is within or near that cone, you need to take the storm seriously. Always look for the forecast intensity, too. Maps often show predicted wind speeds or storm categories (like Category 1, 2, 3, etc.) for the next 24, 48, or 72 hours. This helps you understand how the storm might evolve. Finally, don’t forget the surrounding weather patterns. Sometimes, you can see other weather systems that might interact with the hurricane, potentially steering it or affecting its intensity. By understanding these key elements – the eye, eyewall, rainbands, colors, track, cone of uncertainty, and intensity forecasts – you can transform that seemingly complex map into a powerful tool for staying informed and making crucial safety decisions. It’s all about interpreting the visual story the satellite is telling you about the storm.

Top Resources for Live Hurricane Tracker Satellite Maps

Alright, guys, you know how important it is to have reliable information when a hurricane is on the horizon. You don’t want to be scrambling at the last minute! So, where can you find the best hurricane tracker satellite maps that are updated in real-time? We’ve got you covered with some top-notch resources that meteorologists and seasoned storm watchers trust. First off, the National Hurricane Center (NHC) is the absolute go-to authority for the Atlantic and Eastern Pacific basins. Their website (nhc.noaa.gov) is a treasure trove of information. You’ll find not only detailed satellite imagery but also official advisories, forecast tracks, and hurricane preparedness information. They use various types of satellite data, including visible, infrared, and water vapor imagery, giving you a comprehensive view. Their interactive maps allow you to zoom in, see storm details, and access all the latest updates. It’s the official source, so you know the information is accurate and timely. For a more generalized global view and various types of satellite products, HimawariCast (for the Western Pacific) and the Cooperative Institute for Meteorological Satellite Studies (CIMSS) at the University of Wisconsin-Madison are fantastic. CIMSS, in particular, offers a wide array of specialized satellite-based products and animations that can provide deeper insights into storm structure and intensity. They often have unique visualizations that aren’t found elsewhere. Another excellent resource, especially if you’re looking for user-friendly interfaces and integrated data, is The Weather Channel’s hurricane section or AccuWeather’s hurricane central. These sites often combine satellite imagery with radar data, forecast models, and storm surge predictions, making it easier to get a complete picture. They’re designed for the public, so the information is presented in a very digestible format. For those who like to explore raw data or more advanced visualizations, check out sites like Weather Underground . They often aggregate data from various sources, including different satellite providers, and offer tools that allow for customization and deeper analysis. You can often see different layers of data superimposed on the satellite views. And let’s not forget about YouTube and live streaming platforms. Many meteorologists and storm chasers provide live streams during hurricane events, often displaying multiple satellite maps and radar feeds, offering real-time commentary and analysis. While these aren’t official sources, they can be incredibly valuable for understanding what the data means as it happens . Just remember to cross-reference information from unofficial sources with official advisories. Always prioritize the information from the National Hurricane Center or your local meteorological services. Having these reliable resources bookmarked means you can quickly access the live data you need to make informed decisions during hurricane season. Stay safe out there, everyone!

Beyond the Map: Staying Safe During Hurricane Season

While a hurricane tracker satellite map is an absolutely essential tool for staying informed, it’s just one piece of the puzzle when it comes to navigating hurricane season safely. Guys, preparedness goes way beyond just knowing where the storm is. It’s about taking concrete steps before , during , and after a hurricane makes landfall. Let’s break down some key safety measures that complement the information you get from those live maps. First and foremost, have a hurricane plan . This isn’t just for people in coastal areas; inland communities can still be devastated by flooding and wind damage. Your plan should include evacuation routes, communication strategies with family members (what if your cell service is down?), and a designated safe place to go. Know your evacuation zone – many local emergency management agencies provide maps that show if you live in a high-risk area that might be subject to mandatory evacuations. If officials issue an evacuation order, heed it . Don’t wait. It’s better to be safe than sorry, and roads can become impassable quickly. Another critical step is building an emergency supply kit . Think water (one gallon per person per day for several days), non-perishable food, a flashlight, batteries, a first-aid kit, medications, a multi-tool, sanitation items, and copies of important documents. Don’t forget cash, as ATMs and credit card machines may not work. Having this kit ready before the storm hits can make a huge difference when resources are scarce. Securing your home is also vital. This means boarding up windows and doors with plywood, bringing in any outdoor furniture, decorations, or trash cans that could become projectiles in high winds, and trimming trees and shrubs around your property to reduce the risk of falling limbs. Understanding flood risks is paramount. Hurricanes bring not just wind but often torrential rain, leading to inland flooding and dangerous storm surge along the coast. Never drive or walk through floodwaters . It only takes a few inches of moving water to sweep a vehicle away, and the depth can be deceptive. Remember the phrase: “Turn Around, Don’t Drown.” Finally, stay informed beyond just the satellite map. Monitor local news , emergency alerts from your mobile device, and radio broadcasts . These often provide crucial local information about shelters, power outages, and post-storm conditions that a satellite map alone can’t convey. After the storm passes, be aware of lingering dangers like downed power lines, gas leaks, and structural damage to buildings. Check on your neighbors, especially the elderly or those with special needs, if it’s safe to do so. By combining the powerful insights from a hurricane tracker satellite map with a solid, actionable preparedness plan, you and your loved ones can significantly increase your chances of staying safe throughout hurricane season. It’s all about being proactive and informed.