Category 5 Hurricane: The Ultimate Guide

C.Sansay 121 views
Category 5 Hurricane: The Ultimate Guide

Category 5 Hurricane: The Ultimate Guide

Hey everyone! Ever wondered what it’s like to face a category 5 hurricane ? These behemoths of nature are truly awe-inspiring – and terrifying! In this guide, we’ll dive deep into everything you need to know about these powerful storms. We’ll explore their formation, the devastating impacts they unleash, and, most importantly, how to stay safe if you’re ever in their path. So, buckle up, grab a snack, and let’s get started on this wild ride! This journey will cover everything about Category 5 hurricanes, including the meaning of the category itself. It’s more than just a classification; it’s a key to understanding the sheer force and potential destruction these storms can bring. Think about it – a category 5 hurricane isn’t just a strong wind; it’s a swirling vortex of energy that can reshape landscapes, obliterate structures, and completely change lives. I mean, imagine winds so intense that they can lift cars, tear roofs off buildings like they were made of paper, and turn everyday objects into deadly projectiles. Understanding the intensity and the potential impact of a category 5 hurricane is the first step in preparing for and mitigating the risks associated with these extreme weather events. It’s like having a superpower – the ability to anticipate and prepare for the worst. This knowledge is crucial for anyone living in hurricane-prone areas, as it can be the difference between life and death. Understanding what makes these storms so dangerous, and how to stay safe, is the whole point of our deep dive. Ready to learn more? Let’s dive in!

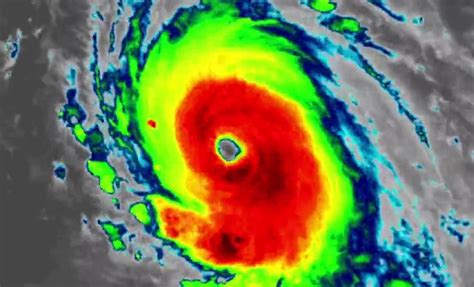
What Makes a Hurricane a Category 5?

So, what exactly is a category 5 hurricane, and what sets it apart from other storms? It all comes down to the Saffir-Simpson Hurricane Wind Scale . This scale categorizes hurricanes based on their sustained wind speeds. A category 5 hurricane, the most intense category, boasts sustained winds of 157 mph (252 km/h) or higher . I mean, picture this: winds so strong they can snap trees like twigs, rip apart homes, and even cause massive storm surges that flood entire coastal areas. These winds are not just strong; they’re relentless and can last for hours, even days, pummeling anything in their path. The Saffir-Simpson scale is not just about wind speeds, though; it also helps us understand the potential for damage. The higher the category, the more extensive and severe the destruction. For a category 5 hurricane, the damage is often catastrophic. We’re talking about widespread structural failure, complete destruction of many buildings, and significant flooding. The storm surge, the wall of water pushed ashore by the hurricane’s winds, can reach incredible heights, inundating coastal areas far inland. This flooding is often the deadliest aspect of a hurricane, as it can trap people, destroy homes, and contaminate water supplies. The pressure in the storm’s eye can also be incredibly low, causing additional damage. That low pressure can cause buildings to literally explode outwards. That’s right! The difference in pressure between the inside and outside of a structure can be so great that it leads to catastrophic failure. And of course, there is the rain. Category 5 hurricanes dump insane amounts of rain, leading to both immediate and long-term flooding. The sheer volume of water can overwhelm drainage systems, cause landslides, and lead to widespread water damage. Knowing these factors is the key to understanding the risks and preparing for a category 5 hurricane. So, let’s keep going, and explore the awesome power of nature! It’s like learning to speak a new language, the language of hurricanes, so you can protect yourself and those you love.

Formation and Development of a Category 5 Hurricane

Okay, let’s get into the nitty-gritty of how a category 5 hurricane forms. It’s not just random; it’s a complex process that requires specific conditions. It all starts with a warm ocean . Hurricanes get their energy from warm ocean waters, typically with temperatures of at least 80°F (26.5°C). That warm water is the fuel for the storm, providing the moisture and energy needed for it to grow. The formation begins with a tropical disturbance , a cluster of thunderstorms. If the conditions are right – warm water, low wind shear, and a pre-existing area of low pressure – this disturbance can develop into a tropical depression. If the winds spiral faster and faster, then the storms will become more and more intense. As the storm intensifies, it is called a tropical storm, and gets a name. The name is from a pre-determined list. The storm can keep building and building. Eventually, if the winds reach 74 mph (119 km/h) , the tropical storm becomes a hurricane . To reach category 5 status, the hurricane needs to intensify further. This process, called rapid intensification , can happen surprisingly fast, sometimes in just a few hours. The storm must continue to draw energy from the warm ocean waters, and the other environmental factors – low wind shear, plenty of moisture – must remain favorable. A key factor is wind shear , which is the change in wind speed and direction with height. Low wind shear allows the storm to build vertically, without the winds blowing it apart. If the environment is right, the hurricane will continue to strengthen, eventually reaching category 5 status. It’s a bit like a perfect storm, where all the right ingredients come together to create something truly spectacular – and dangerous. It is also a reminder of the power of nature and the importance of being prepared. Let’s keep going, and let’s explore some of the most destructive storms in history!

Notable Category 5 Hurricanes: A Look Back

History has given us a few reminders of the destructive force of Category 5 hurricanes. Let’s take a look at a few of the most memorable ones and the damage they caused. This is where we get to appreciate the intensity, in terms of both science and damage! The Great Hurricane of 1780 is believed to be the deadliest Atlantic hurricane on record, causing tens of thousands of deaths across the Caribbean. The damage was widespread, and the impact was felt for years afterward. Then there’s Hurricane Camille (1969) , which slammed into the Mississippi coast. This storm was so intense that it caused widespread damage to homes and infrastructure, with winds and storm surges that left a lasting mark on the region. Hurricane Andrew (1992) devastated South Florida, causing billions of dollars in damage and forever changing building codes in the area. The destruction was so massive that it served as a wake-up call for how prepared we were for these types of storms. More recently, Hurricane Katrina (2005) , though it weakened to a Category 3 at landfall, caused catastrophic damage to New Orleans and the Gulf Coast. The storm surge and flooding were particularly devastating, and the response highlighted the need for better preparedness and emergency management. Hurricane Dorian (2019) , which hit the Bahamas, was one of the strongest Atlantic hurricanes on record, with sustained winds of 185 mph (298 km/h). The damage was truly horrific, with widespread destruction and loss of life. These storms, and many others, remind us of the importance of being prepared and having a plan in place. They show us that a category 5 hurricane isn’t just about wind speeds; it’s about the entire storm system, including storm surge, rainfall, and the cascading effects on communities. The historical record reminds us of the importance of being prepared for these powerful events, so that we can take action, and we can mitigate the worst effects.

Impacts and Destruction Caused by Category 5 Hurricanes

As we have seen, the impacts of a Category 5 hurricane are nothing short of devastating. These storms unleash a combination of deadly forces that can transform landscapes and communities. The wind itself is a major threat. With sustained speeds of 157 mph (252 km/h) or higher, the winds can demolish even well-built structures. Imagine homes being ripped apart, trees being uprooted, and debris becoming dangerous projectiles. The winds can also create a storm surge, which is a wall of water pushed ashore by the hurricane’s winds. This surge can inundate coastal areas, flooding homes and businesses and causing significant erosion. Then, there’s the rainfall . Category 5 hurricanes can dump massive amounts of rain, leading to widespread flooding. Rivers and streams can overflow, roads can become impassable, and homes can be submerged. Flooding is often the deadliest aspect of a hurricane, trapping people and causing significant water damage. The combination of wind, storm surge, and rainfall can lead to catastrophic damage. Structures can be destroyed, infrastructure can be crippled, and communities can be left in ruins. Roads and bridges can be washed out, power lines can be downed, and essential services can be disrupted. The impact extends beyond the immediate damage. Hurricanes can also cause long-term economic and social consequences. Tourism and other industries can be severely affected, leading to job losses and economic hardship. The need for recovery can take years. They can also displace people, break up families, and damage communities. That’s why we need to continue with all the preparedness and prevention strategies.

Safety and Preparedness: How to Survive a Category 5 Hurricane

Okay, so what can you do to survive a category 5 hurricane? First and foremost, be prepared . This means having a hurricane plan in place, knowing your evacuation routes, and having an emergency kit ready to go. Your emergency kit should include essentials such as water, food, first-aid supplies, medications, a flashlight, batteries, and a weather radio. If you live in an area prone to hurricanes, the first thing to do is determine if you are in an evacuation zone. If the officials declare an evacuation, then you must evacuate. Stay informed. Monitor weather forecasts and warnings from the National Hurricane Center (NHC) and local authorities. Have a plan for where you will go, whether it’s with friends, family, or a designated shelter. Know your evacuation routes and have a backup plan in case your primary route is blocked. If you live in a hurricane-prone area, make sure your home is as safe as possible. Strengthen your home by reinforcing doors and windows, trimming trees, and clearing debris from your yard. Protect your valuables. Bring outdoor furniture inside, and secure any loose items that could become projectiles. If you are not in an evacuation zone, and you plan to shelter in place, stay inside and away from windows and doors. Go to a safe room or an interior room on the lowest level of your home. If you are caught in the storm, stay calm and follow instructions from local authorities. Do not go outside until the storm has passed and it is safe to do so. After the storm has passed, be cautious of downed power lines, damaged structures, and debris. Stay informed about the recovery process and follow instructions from local officials. This is how you survive a Category 5 hurricane. Remember, preparation and knowledge are your best tools in the face of these powerful storms.

Conclusion: Facing the Fury of Category 5

So, there you have it, folks! We’ve covered a lot of ground today, from the formation of a category 5 hurricane to the devastating impacts it can unleash and how to stay safe. Remember, these storms are incredibly powerful and dangerous, but by understanding them and taking the necessary precautions, we can significantly reduce the risks. Stay informed, stay prepared, and never underestimate the power of nature. And be sure to share this guide with your friends and family – because knowledge is power, especially when it comes to facing the fury of a category 5 hurricane. Stay safe out there!