Caribbean Hurricanes: Tracking Storms With Satellite Data

C.Sansay 71 views
Caribbean Hurricanes: Tracking Storms With Satellite Data

Caribbean Hurricanes: Tracking Storms with Satellite Data

Introduction: Understanding Caribbean Hurricanes

Hey guys! Let’s dive into the world of Caribbean hurricanes and how we keep an eye on them using some pretty cool tech. The Caribbean region is, unfortunately, a hotspot for these intense storms, and understanding them is super crucial for folks living there and for anyone interested in meteorology. So, what exactly makes this area so prone to hurricanes, and why is it vital to track them so closely? Let’s break it down.

The Caribbean’s geographical location plays a massive role in hurricane formation. Situated in the path of the Atlantic hurricane belt , it gets hit by storms that develop off the coast of Africa and those that form in the Caribbean Sea itself. Warm ocean temperatures are like fuel for hurricanes; they need that warm water to gain strength. The Caribbean Sea is nice and toasty, providing the perfect conditions for storms to intensify rapidly. Add to that the atmospheric conditions – low wind shear, which allows storms to stay organized, and ample moisture – and you’ve got a recipe for hurricane development. Because of all these factors, the Caribbean sees a significant number of tropical cyclones each year, making it essential to be prepared and informed.

Now, why is it so important to track these storms? Well, hurricanes can bring catastrophic damage. We’re talking about powerful winds that can rip apart buildings, torrential rain leading to widespread flooding, and storm surges that can inundate coastal areas. The impact on communities can be devastating, with homes destroyed, infrastructure crippled, and lives tragically lost. Early and accurate tracking allows for timely warnings and evacuations, giving people a chance to protect themselves and their property. Think of it like this: knowing a hurricane is coming your way gives you time to board up windows, move to higher ground, and stock up on supplies. It can literally be the difference between life and death. Accurate tracking also helps governments and aid organizations mobilize resources effectively, ensuring that help reaches those who need it most as quickly as possible. The more we know about a hurricane’s path and intensity, the better prepared we can be to minimize its impact.

The Role of the National Hurricane Center

Alright, let’s talk about the National Hurricane Center (NHC) . These guys are the official source for hurricane forecasts and warnings in the Atlantic and Eastern Pacific basins. Basically, they’re the go-to experts when it comes to tracking and predicting these powerful storms. The NHC plays a pivotal role in keeping communities safe by providing timely and accurate information that helps people prepare for and respond to hurricanes. So, how do they do it?

The NHC’s primary mission is to observe, analyze, and predict tropical cyclones and their potential impacts. They use a combination of data from various sources to get a comprehensive picture of what’s happening in the atmosphere and the ocean. This includes everything from satellite imagery and radar data to weather buoys and reconnaissance aircraft. By putting all this information together, the NHC can develop forecasts that predict a storm’s track, intensity, and potential hazards. These forecasts are then communicated to the public through various channels, including their website, social media, and partnerships with local media outlets.

One of the key things the NHC does is issue warnings and advisories. A hurricane watch means that hurricane conditions are possible in a specified area, usually within 48 hours. This gives people time to prepare for the potential arrival of a storm. A hurricane warning , on the other hand, means that hurricane conditions are expected in a specified area, usually within 36 hours. This is when it’s time to take immediate action to protect life and property. The NHC also issues advisories for tropical storms, which are weaker than hurricanes but can still bring significant impacts, such as heavy rain and flooding. These warnings and advisories are crucial for informing the public and prompting necessary actions, such as evacuations and the activation of emergency response plans. The NHC works closely with local, state, and federal agencies to ensure that these warnings are effectively communicated and that communities are prepared to respond.

Satellite Technology: A Game Changer

Now, let’s get into the really cool stuff: satellite technology . These high-tech tools have completely revolutionized how we track and understand hurricanes. Satellites provide a constant, birds-eye view of the Earth, allowing us to monitor storms in real-time, even when they’re far out over the ocean. Without satellites, we’d be relying on much more limited data, making it harder to predict a hurricane’s path and intensity accurately. So, how do these satellites work, and what kind of data do they collect?

There are two main types of weather satellites: geostationary and polar-orbiting. Geostationary satellites hover over a fixed spot above the equator, providing continuous coverage of the same area. This is incredibly useful for monitoring the development and movement of hurricanes. They can track a storm’s progress 24 7 , giving forecasters a constant stream of data. Polar-orbiting satellites , on the other hand, circle the Earth from pole to pole, providing detailed images of different areas with each pass. These satellites offer higher resolution images and can gather data on atmospheric temperature and moisture, which is vital for understanding a hurricane’s structure and intensity.

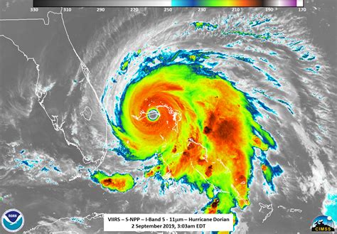
Satellites are equipped with a range of sensors that collect different types of data. Visible imagery provides a visual picture of the storm, showing its size, shape, and cloud patterns. Infrared imagery measures the temperature of clouds, which helps determine the height and intensity of the storm. Colder clouds are generally higher and associated with stronger storms. Microwave imagery can penetrate through clouds to see the structure of the storm’s core, including the eye, which is a key indicator of intensity. Satellites also collect data on wind speed and direction, as well as sea surface temperatures, which are crucial for understanding the conditions that are fueling the storm. All this data is fed into sophisticated computer models, which the NHC uses to generate forecasts. Satellite data has dramatically improved the accuracy of hurricane forecasts, giving people more time to prepare and potentially saving countless lives.

Tracking Hurricanes in the Caribbean

Okay, let’s focus on how satellite data is specifically used to track hurricanes in the Caribbean . This region presents some unique challenges due to its complex geography and the rapid intensification that can occur in the warm Caribbean Sea. Satellites play a critical role in providing the continuous monitoring needed to keep up with these dynamic storms. So, how does this all come together in practice?

The NHC uses a variety of satellite data to monitor hurricanes in the Caribbean. Geostationary satellites, like GOES-16, provide constant coverage of the region, allowing forecasters to track the movement and development of storms in real-time. Polar-orbiting satellites, such as those in the Suomi NPP and NOAA-20 series, offer detailed images and data on atmospheric conditions, helping to refine forecasts. By combining data from multiple satellites, the NHC can get a comprehensive picture of what’s happening in the atmosphere and the ocean, improving the accuracy of their forecasts.

One of the biggest challenges in the Caribbean is the potential for rapid intensification. Hurricanes can strengthen very quickly as they pass over the warm waters of the Caribbean Sea. Satellite data is crucial for detecting these changes early on. For example, if satellite imagery shows that the eye of a hurricane is becoming smaller and more well-defined, it’s a sign that the storm is likely intensifying. Similarly, if infrared imagery shows that the cloud tops are getting colder, it indicates that the storm is becoming more powerful. By monitoring these indicators, forecasters can issue timely warnings and advisories, giving people more time to prepare for the potential impacts of a rapidly intensifying hurricane. Satellite data also helps to understand the broader environmental conditions that contribute to intensification, such as sea surface temperatures and atmospheric moisture levels. This information is used to improve forecast models and provide more accurate predictions of hurricane intensity.

Challenges and Future Directions

Even with all the amazing technology we have, tracking hurricanes isn’t always a walk in the park. There are still plenty of challenges that the NHC and other forecasting agencies face. Let’s talk about some of these hurdles and what’s being done to overcome them.

One of the biggest challenges is predicting the intensity of hurricanes accurately. While we’ve made significant progress in tracking their paths, forecasting how strong a storm will become is still difficult. Hurricanes are complex systems, and their intensity can be influenced by a variety of factors, including sea surface temperatures, atmospheric conditions, and interactions with land. These factors can change rapidly, making it hard to predict how a storm will evolve. Another challenge is dealing with data gaps. While satellites provide a wealth of information, there are still areas where data is limited, particularly in remote ocean regions. This can make it harder to get a complete picture of a storm’s structure and intensity. Finally, communicating forecasts effectively is also a challenge. It’s crucial to provide clear and timely information to the public so that people can make informed decisions about how to protect themselves and their property. However, communicating complex scientific information in a way that’s easy to understand can be difficult, especially when dealing with uncertainty.

Looking ahead, there are several exciting developments on the horizon that could improve our ability to track and forecast hurricanes. One area of focus is improving the resolution and accuracy of satellite data. New generations of satellites are being developed with more advanced sensors that can provide more detailed information about storm structure and atmospheric conditions. Another area of research is improving computer models. Scientists are working to develop more sophisticated models that can better simulate the complex processes that drive hurricane intensity. These models will incorporate more data from satellites, radar, and other sources, and will be able to run on faster computers, allowing for more detailed and accurate forecasts. There’s also a growing emphasis on improving communication and outreach. The NHC is working to develop new ways to communicate forecasts to the public, including using social media and interactive tools. They’re also working to educate communities about hurricane risks and how to prepare for them. By addressing these challenges and investing in new technologies, we can continue to improve our ability to track and forecast hurricanes, ultimately saving lives and reducing the impact of these devastating storms.

Conclusion: Staying Informed and Prepared

So, there you have it! A look at how we use satellite technology to keep tabs on hurricanes in the Caribbean . From the NHC’s crucial role in forecasting to the amazing data provided by satellites, it’s a collaborative effort to keep people safe. The importance of staying informed and prepared cannot be overstated, especially if you live in or near hurricane-prone areas. Make sure you have a plan in place, know your evacuation routes, and keep an eye on the latest forecasts from trusted sources like the National Hurricane Center. By staying informed and taking proactive steps, you can protect yourself, your family, and your community from the devastating impacts of these powerful storms. Remember, knowledge is power, and being prepared can make all the difference.